9.31 Acres in Morongo Valley – Two Parcels Near Paved Road!
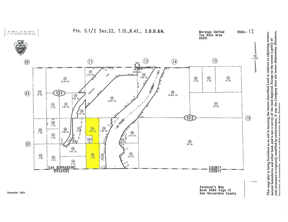
Don’t miss this opportunity to own two side-by-side parcels in beautiful Morongo Valley, totaling approximately 9.31 acres (5 acres + 4.31 acres). These properties are located less than 1,000 feet from the nearest paved road and just about a mile from the 29 Palms Highway, offering both seclusion and convenience. Enjoy the peaceful desert surroundings while being only 25 minutes from Palm Springs. Ideal for building, recreation, or long-term investment in a growing area with easy highway access.
Don’t miss this opportunity to own two side-by-side parcels in beautiful Morongo Valley, totaling approximately 9.31 acres (5 acres + 4.31 acres). These properties are located less than 1,000 feet from the nearest paved road and just about a mile from the 29 Palms Highway, offering both seclusion and convenience. Enjoy the peaceful desert surroundings while being only 25 minutes from Palm Springs. Ideal for building, recreation, or long-term investment in a growing area with easy highway access.
Property Details
Price:
$117,000
MLS #:
IG25137204
Status:
Active
Baths:
0
Type:
Land
Listed Date:
Jun 17, 2025
Lot Size:
187,744 sqft / 4.31 acres (approx)
See this Listing
Schools
Interior
Exterior
Community Features
Rural
Lot Features
2-5 Units/Acre, 6-10 Units/Acre, Desert Back, Desert Front
Sewer
None
View
Desert, Mountain(s)
Water Source
None
Financial
Association Fee
0.00
Utilities
None
Map
Community
- Address1 Canyon House Road 0584121230000 Morongo Valley CA
- NeighborhoodDC511 – NW Morongo
- CityMorongo Valley
- CountySan Bernardino
- Zip Code92553
Subdivisions in Morongo Valley
Market Summary
Current real estate data for Land in Morongo Valley as of Oct 26, 2025
29
Land Listed
270
Avg DOM
$106,246
Avg List Price
Property Summary
- 1 Canyon House Road 0584121230000 Morongo Valley CA is a Land for sale in Morongo Valley, CA, 92553. It is listed for $117,000 and features 4 acres.
Similar Listings Nearby

1 Canyon House Road 0584121230000
Morongo Valley, CA










