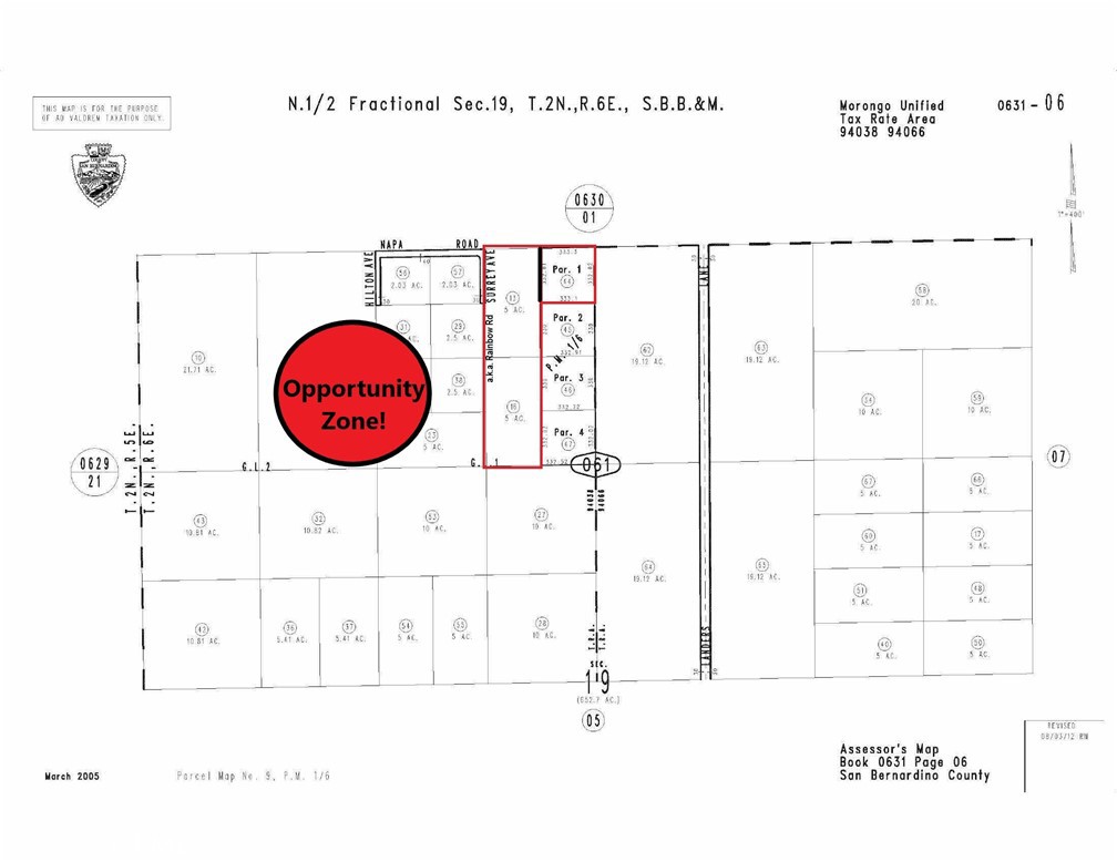
12.5 Acres in Landers, CA – Opportunity Zone &' NMTC Eligible
Unlock powerful tax advantages with this 12.5-acre assemblage in Landers, CA, located within both a federally designated Opportunity Zone and a New Market Tax Credit Zone. Comprising two 5-acre parcels and one 2.5-acre parcel, this flat, buildable land offers water access and is situated just off a paved road—ideal for commercial, hospitality, or mixed-use development.
Investment Highlights
• Located in Opportunity Zone – Potential for capital gains tax deferral and exclusion
• NMTC Eligible – Access to federal tax credits for qualifying development
• 12.5 Acres Total (3 Legal Parcels)
• Water Access On-Site
• Near Paved Road for Easy Access
• Panoramic Mountain Views
• Minutes to Joshua Tree National Park – High tourism traffic
• May be Ideal for Glamping, Eco-Lodges, or Mixed-Use Desert Development
This property offers a rare blend of natural beauty and financial incentives—perfect for developers seeking long-term upside in a rapidly growing desert corridor.
Short-Term Rental Developer MLS Description
12.5 Acres Near JTNP – Ideal for Vacation Rental Development
Unlock the potential of this 12.5-acre parcel in Landers, CA—just a short drive from Joshua Tree National Park! Comprising two 5-acre parcels and one 2.5-acre parcel, this flat, buildable land with water access is perfect for creating a desert getaway compound or multiple short-term rental units. Located near a paved road for easy access, with panoramic mountain views and a tranquil setting that guests will love. A rare opportunity to build a high-demand destination in the heart of the High Desert.
Unlock powerful tax advantages with this 12.5-acre assemblage in Landers, CA, located within both a federally designated Opportunity Zone and a New Market Tax Credit Zone. Comprising two 5-acre parcels and one 2.5-acre parcel, this flat, buildable land offers water access and is situated just off a paved road—ideal for commercial, hospitality, or mixed-use development.
Investment Highlights
• Located in Opportunity Zone – Potential for capital gains tax deferral and exclusion
• NMTC Eligible – Access to federal tax credits for qualifying development
• 12.5 Acres Total (3 Legal Parcels)
• Water Access On-Site
• Near Paved Road for Easy Access
• Panoramic Mountain Views
• Minutes to Joshua Tree National Park – High tourism traffic
• May be Ideal for Glamping, Eco-Lodges, or Mixed-Use Desert Development
This property offers a rare blend of natural beauty and financial incentives—perfect for developers seeking long-term upside in a rapidly growing desert corridor.
Short-Term Rental Developer MLS Description
12.5 Acres Near JTNP – Ideal for Vacation Rental Development
Unlock the potential of this 12.5-acre parcel in Landers, CA—just a short drive from Joshua Tree National Park! Comprising two 5-acre parcels and one 2.5-acre parcel, this flat, buildable land with water access is perfect for creating a desert getaway compound or multiple short-term rental units. Located near a paved road for easy access, with panoramic mountain views and a tranquil setting that guests will love. A rare opportunity to build a high-demand destination in the heart of the High Desert.
Property Details
Price:
$153,580
MLS #:
OC25206622
Status:
Active
Baths:
0
Type:
Land
Listed Date:
Sep 7, 2025
Lot Size:
217,800 sqft / 5.00 acres (approx)
See this Listing
Schools
Interior
Exterior
Community Features
Rural
Lot Features
2-5 Units/Acre, Corner Lot, Desert Back, Desert Front, Lot Over 40000 Sqft, Level
View
Desert, Mountain(s)
Water Source
Public
Financial
Association Fee
0.00
Map
Community
- Address6113 Napa (@ Rainbow) Landers CA
- CityLanders
- CountySan Bernardino
- Zip Code92285
Subdivisions in Landers
Market Summary
Property Summary
- 6113 Napa (@ Rainbow) Landers CA is a Land for sale in Landers, CA, 92285. It is listed for $153,580 and features 5 acres.
Similar Listings Nearby

6113 Napa (@ Rainbow)
Landers, CA





