There are multiple listings for this address:
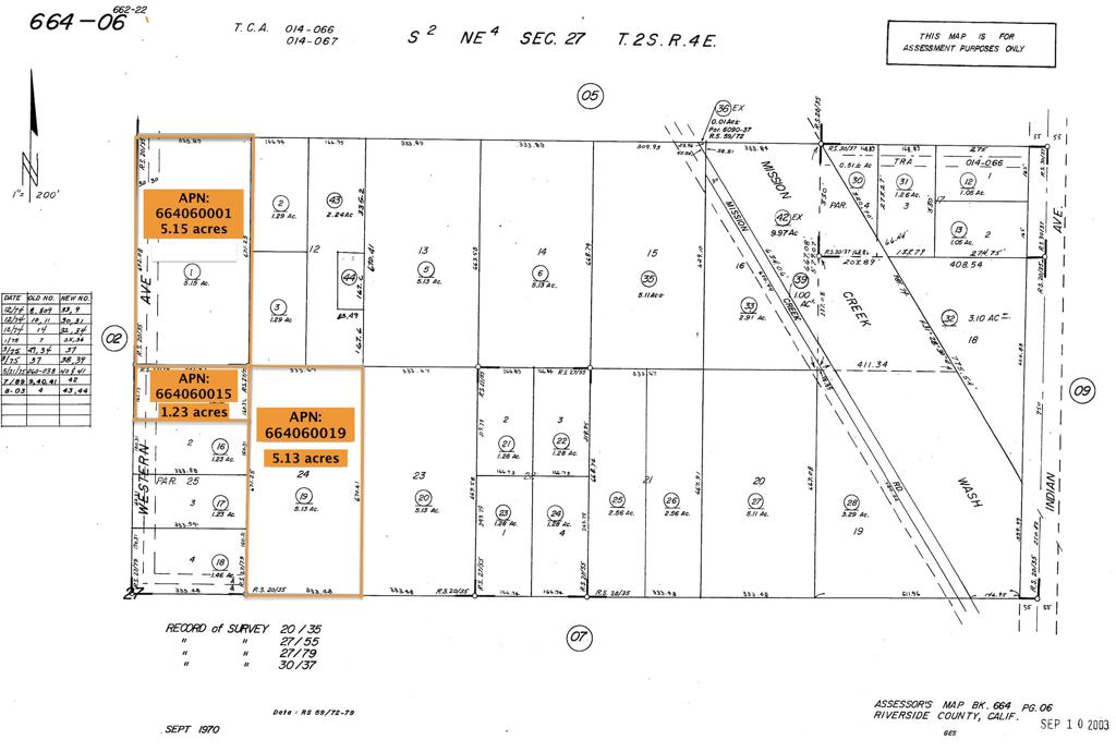
Incredible location with beautiful 360 degree views, windmills dancing in the distance, and .5 miles inland from major road (N. Indian Canyon Dr.) that transverses all the way to the south-end of Palm Springs. This area is booming and has seen tremendous growth in the past years. The cannabis industry has transformed the area North of this property and has created high demand for housing. This 5.15 acres/ 224,334 sq ft parcel can be purchased with its adjoining lots APN # 664060015 (1.23 acres), and APN # 664060019 (5.13 acres) to create an 11.51 acre spec or tract home development, or simply for one’s own enjoyment of this serene land. This is a rare opportunity that may never be available again. The future of Desert Hot Springs is growth and expansion, being named one of the most financially stable cities in the state, the future is more than bright, it’s a smart investment. Note: This property is zoned for residential use. Access to the property is off Western Ave., please contact the agent for showing access and specific coordinates, there are no markers on the property. Buyer to do own due diligence on property and surrounding land ownership/use. Contact Desert Hot Springs Planning Department to inquire about the potential uses of this property.
Property Details
Price:
$140,000
MLS #:
219126052DA
Status:
Active
Baths:
0
Type:
Land
Listed Date:
Mar 6, 2025
Lot Size:
224,334 sqft / 5.15 acres (approx)
See this Listing
Schools
Interior
Exterior
Sewer
Unknown
View
Mountain(s)
Financial
Map
Community
- Address0 Western Ave Desert Hot Springs CA
- CityDesert Hot Springs
- CountyRiverside
- Zip Code92240
Subdivisions in Desert Hot Springs
- Agua Dulce
- Agua Dulce 34001
- Andreas Hills
- Cornerstone
- Desert Crest CC
- Desert View Estates
- Desert View Estates 34004
- Desert View Estates II
- Desert Willow
- Dillion Estates 60045
- Eagle Point
- Foxdale Estates
- Hacienda Heights
- Hacienda Heights 34010
- Hidden Springs
- Hidden Springs 34011
- HidSp34011
- Indio Hills
- Lt Mor Undev. 4 34013
- Mission Lakes
- Mission Lakes 34101
- Mountain View
- Mountain View Country Estates
- Mountain View Country Estates 34014
- Not Applicable-340 NA340
- Not in a Development Not in a Development
- Olympus
- Olympus 34017
- Paradise Springs
- Paradise Springs 34018
- Rancho Del Oro
- Rancho Del Oro 34024
- Skyborne
- Skyborne 34020
- Skys Haven
- Sunset Springs
- Vista Del Valle
- Vista Del Valle 34022
- Vista Montana
- Vista Montana 34026
- Vista Palms
- Westmount Estates
Market Summary
Current real estate data for Land in Desert Hot Springs as of Nov 28, 2025
281
Land Listed
343
Avg DOM
$495,386
Avg List Price
Property Summary
- 0 Western Ave Desert Hot Springs CA is a Land for sale in Desert Hot Springs, CA, 92240. It is listed for $140,000 and features 5 acres.
Similar Listings Nearby

0 Western Ave
Desert Hot Springs, CA
Incredible location with beautiful 360 degree views, windmills dancing in the distance, and .5 miles inland from major road (N. Indian Canyon Dr.) that transverses all the way to the south-end of Palm Springs. This area is booming and has seen tremendous growth in the past years. The cannabis industry has transformed the area North of this property and has created high demand for housing. This 5.15 acres/ 224,334 sq ft parcel can be purchased with its adjoining lots APN # 664060015 (1.23 acres), and APN # 664060019 (5.13 acres) to create an 11.51 acre spec or tract home development, or simply for one’s own enjoyment of this serene land. This is a rare opportunity that may never be available again. The future of Desert Hot Springs is growth and expansion, being named one of the most financially stable cities in the state, the future is more than bright, it’s a smart investment. Note: This property is zoned for residential use. Access to the property is off Western Ave., please contact the agent for showing access and specific coordinates, there are no markers on the property. Buyer to do own due diligence on property and surrounding land ownership/use. Contact Desert Hot Springs Planning Department to inquire about the potential uses of this property.
Property Details
Price:
$45,000
MLS #:
219126053DA
Status:
Active
Baths:
0
Type:
Land
Listed Date:
Mar 6, 2025
Lot Size:
53,579 sqft / 1.23 acres (approx)
See this Listing
Schools
Interior
Exterior
Sewer
Unknown
View
Mountain(s)
Financial
Map
Community
- Address0 Western Ave Desert Hot Springs CA
- CityDesert Hot Springs
- CountyRiverside
- Zip Code92240
Subdivisions in Desert Hot Springs
- Agua Dulce
- Agua Dulce 34001
- Andreas Hills
- Cornerstone
- Desert Crest CC
- Desert View Estates
- Desert View Estates 34004
- Desert View Estates II
- Desert Willow
- Dillion Estates 60045
- Eagle Point
- Foxdale Estates
- Hacienda Heights
- Hacienda Heights 34010
- Hidden Springs
- Hidden Springs 34011
- HidSp34011
- Indio Hills
- Lt Mor Undev. 4 34013
- Mission Lakes
- Mission Lakes 34101
- Mountain View
- Mountain View Country Estates
- Mountain View Country Estates 34014
- Not Applicable-340 NA340
- Not in a Development Not in a Development
- Olympus
- Olympus 34017
- Paradise Springs
- Paradise Springs 34018
- Rancho Del Oro
- Rancho Del Oro 34024
- Skyborne
- Skyborne 34020
- Skys Haven
- Sunset Springs
- Vista Del Valle
- Vista Del Valle 34022
- Vista Montana
- Vista Montana 34026
- Vista Palms
- Westmount Estates
Market Summary
Current real estate data for Land in Desert Hot Springs as of Nov 28, 2025
281
Land Listed
343
Avg DOM
$495,386
Avg List Price
Property Summary
- 0 Western Ave Desert Hot Springs CA is a Land for sale in Desert Hot Springs, CA, 92240. It is listed for $45,000 and features 1 acres.
Similar Listings Nearby
Incredible location with beautiful 360 degree views, windmills dancing in the distance, and .5 miles inland from major road (N. Indian Canyon Dr.) that transverses all the way to the south-end of Palm Springs. This area is booming and has seen tremendous growth in the past years. The cannabis industry has transformed the area North of this property and has created high demand for housing. This 5.15 acres/ 224,334 sq ft parcel can be purchased with its adjoining lots APN # 664060015 (1.23 acres), and APN # 664060019 (5.13 acres) to create an 11.51 acre spec or tract home development, or simply for one’s own enjoyment of this serene land. This is a rare opportunity that may never be available again. The future of Desert Hot Springs is growth and expansion, being named one of the most financially stable cities in the state, the future is more than bright, it’s a smart investment. Note: This property is zoned for residential use. Access to the property is off Western Ave., please contact the agent for showing access and specific coordinates, there are no markers on the property. Buyer to do own due diligence on property and surrounding land ownership/use. Contact Desert Hot Springs Planning Department to inquire about the potential uses of this property.
Property Details
Price:
$140,000
MLS #:
219126054DA
Status:
Active
Baths:
0
Type:
Land
Listed Date:
Mar 6, 2025
Lot Size:
223,463 sqft / 5.13 acres (approx)
See this Listing
Schools
Interior
Exterior
Sewer
Unknown
View
Mountain(s)
Financial
Map
Community
- Address0 Western Ave Desert Hot Springs CA
- CityDesert Hot Springs
- CountyRiverside
- Zip Code92240
Subdivisions in Desert Hot Springs
- Agua Dulce
- Agua Dulce 34001
- Andreas Hills
- Cornerstone
- Desert Crest CC
- Desert View Estates
- Desert View Estates 34004
- Desert View Estates II
- Desert Willow
- Dillion Estates 60045
- Eagle Point
- Foxdale Estates
- Hacienda Heights
- Hacienda Heights 34010
- Hidden Springs
- Hidden Springs 34011
- HidSp34011
- Indio Hills
- Lt Mor Undev. 4 34013
- Mission Lakes
- Mission Lakes 34101
- Mountain View
- Mountain View Country Estates
- Mountain View Country Estates 34014
- Not Applicable-340 NA340
- Not in a Development Not in a Development
- Olympus
- Olympus 34017
- Paradise Springs
- Paradise Springs 34018
- Rancho Del Oro
- Rancho Del Oro 34024
- Skyborne
- Skyborne 34020
- Skys Haven
- Sunset Springs
- Vista Del Valle
- Vista Del Valle 34022
- Vista Montana
- Vista Montana 34026
- Vista Palms
- Westmount Estates
Market Summary
Current real estate data for Land in Desert Hot Springs as of Nov 28, 2025
281
Land Listed
343
Avg DOM
$495,386
Avg List Price
Property Summary
- 0 Western Ave Desert Hot Springs CA is a Land for sale in Desert Hot Springs, CA, 92240. It is listed for $140,000 and features 5 acres.











