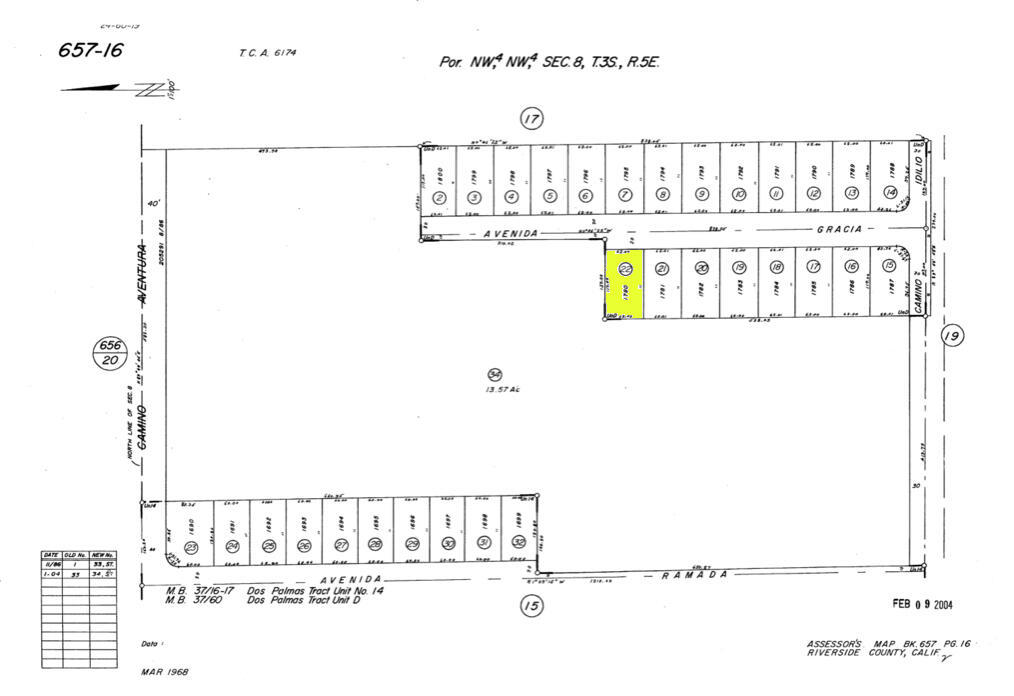
Discover an incredible opportunity to own a prime piece of land on Avenida Gracia in Desert Hot Springs, CA 92240, APN: 657-160-022. This ideally situated lot is nestled in a rapidly growing residential neighborhood just minutes from shopping, dining, and relaxing mineral hot springs resorts. Surrounded by established homes and offering breathtaking views of the surrounding mountains, this parcel provides the perfect blend of convenience and serenity. With easy access to nearby main roads like Pierson Blvd and Palm Dr, you’ll enjoy smooth connectivity to local amenities, schools, and parks, all while being just a short drive from the heart of Palm Springs. Don’t miss your chance to invest in this highly desirable location with endless potential. ****No soils reports, surveys, etc., have been done. Buyer and buyer’s agent to verify all information with the city or county for allowable uses and requirements and rely on their own investigations. **Buyer responsible for checking zoning, utilities, permits and exact property boundaries. ****
Property Details
Price:
$35,000
MLS #:
219133944DA
Status:
Active
Baths:
0
Type:
Land
Listed Date:
Aug 13, 2025
Lot Size:
7,405 sqft / 0.17 acres (approx)
See this Listing
Schools
Interior
Exterior
Sewer
Unknown
View
Desert, Panoramic, Mountain(s)
Financial
Map
Community
- Address0 Avenida Garcia Desert Hot Springs CA
- CityDesert Hot Springs
- CountyRiverside
- Zip Code92240
Subdivisions in Desert Hot Springs
- Agua Dulce
- Agua Dulce 34001
- Andreas Hills
- Cornerstone
- Desert Crest CC
- Desert View Estates
- Desert View Estates 34004
- Desert View Estates II
- Desert Willow
- Dillion Estates 60045
- Eagle Point
- Foxdale Estates
- Hacienda Heights
- Hacienda Heights 34010
- Hidden Springs
- Hidden Springs 34011
- HidSp34011
- Indio Hills
- Lt Mor Undev. 4 34013
- Mission Lakes
- Mission Lakes 34101
- Mountain View
- Mountain View Country Estates
- Mountain View Country Estates 34014
- Not Applicable-340 NA340
- Not in a Development Not in a Development
- Olympus
- Olympus 34017
- Paradise Springs
- Paradise Springs 34018
- Rancho Del Oro
- Rancho Del Oro 34024
- Skyborne
- Skyborne 34020
- Skys Haven
- Sunset Springs
- Vista Del Valle
- Vista Del Valle 34022
- Vista Montana
- Vista Montana 34026
- Vista Palms
- Westmount Estates
Market Summary
Current real estate data for Land in Desert Hot Springs as of Nov 28, 2025
281
Land Listed
343
Avg DOM
$495,386
Avg List Price
Property Summary
- 0 Avenida Garcia Desert Hot Springs CA is a Land for sale in Desert Hot Springs, CA, 92240. It is listed for $35,000 and features 0 acres.
Similar Listings Nearby

0 Avenida Garcia
Desert Hot Springs, CA




