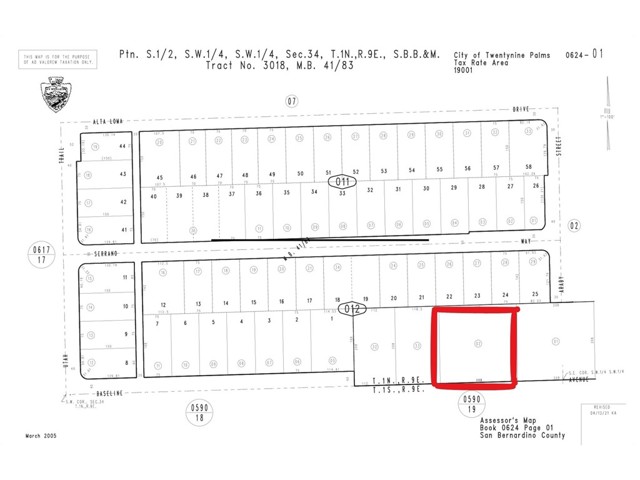
This .99-acre lot on Baseline Rd in Twentynine Palms offers a versatile opportunity for buyers seeking space and potential in a growing desert community. With utilities nearby and open views of the surrounding landscape, the property is well-suited for building a custom home, creating a private retreat, or holding as a long-term investment. Its location provides convenient access to schools, shopping, and Joshua Tree National Park, adding to its appeal. Whether you’re looking to build, develop, or invest for future appreciation, the possibilities are endless. Buyer to verify zoning, subdivision requirements, utilities, and all intended uses with the City of Twentynine Palms and San Bernardino County as part of their due diligence.
Property Details
Price:
$65,000
MLS #:
CV25223454
Status:
Active
Beds:
0
Baths:
0
Type:
Land
Neighborhood:
699
Listed Date:
Sep 25, 2025
Lot Size:
43,124 sqft / 0.99 acres (approx)
See this Listing
Schools
Interior
Exterior
Financial
Taxes
$487
Map
Community
- AddressBaseline Ave 29 Palms CA
- City29 Palms
- CountySan Bernardino
- Zip Code92277
Subdivisions in 29 Palms
Market Summary
Property Summary
- Baseline Ave 29 Palms CA is a Land for sale in 29 Palms, CA, 92277. It is listed for $65,000 and features 1 acres.
Similar Listings Nearby

Baseline Ave
29 Palms, CA






