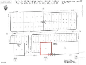
.31-Acre Parcel (a bit over a quarter acre) in the City of 29 Palms perfect for building a home. Paved road frontage. Water and electric utilities are in the street. Close to downtown shopping and dining. Views of the National Park to the south and easy access to the Park via nearby Utah Trail. NOTE: Green lines demarcating boundaries are approximate' street address is not official – do not use address or google maps GPS to locate property. To find property, please locate with APN: 0590-332-10
Property Details
Price:
$25,000
MLS #:
JT23040800
Status:
Active
Baths:
0
Type:
Land
Listed Date:
Mar 18, 2023
Lot Size:
13,500 sqft / 0.31 acres (approx)
See this Listing
Schools
Interior
Exterior
Community Features
Hiking, Preserve/Public Land
Lot Features
Lot 10000-19999 Sqft
View
Desert, Mountain(s)
Water Source
None
Financial
Association Fee
0.00
Map
Community
- Address7600 Bedouin Avenue 2 29 Palms CA
- City29 Palms
- CountySan Bernardino
- Zip Code92277
Subdivisions in 29 Palms
Market Summary
Property Summary
- 7600 Bedouin Avenue 2 29 Palms CA is a Land for sale in 29 Palms, CA, 92277. It is listed for $25,000 and features 0 acres.
Similar Listings Nearby

7600 Bedouin Avenue 2
29 Palms, CA












