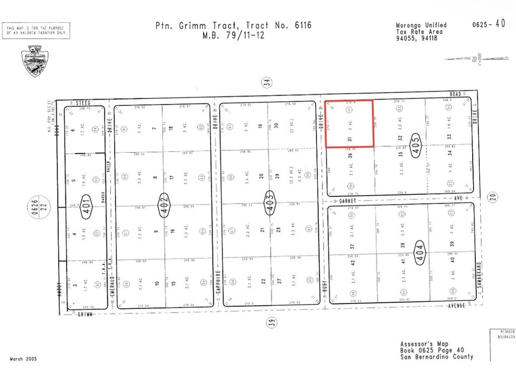
2 Acres in scenic Wonder Valley. Enjoy colorful sunsets and incredible stargazing. Explore the endless off-road trails in the area. Home across the street with power. Drill a well for water. Short drive to the Joshua Tree National Park entrance in 29 Palms. Owner May Carry. GPS: (34.1607387, -115.9142841) APN: 0625-405-01-0000
Property Details
Price:
$17,500
MLS #:
JT25125828
Status:
Active
Baths:
0
Type:
Land
Listed Date:
May 31, 2025
Lot Size:
87,120 sqft / 2.00 acres (approx)
See this Listing
Schools
Interior
Exterior
Community Features
Rural
Lot Features
Rectangular Lot
View
Desert, Mountain(s)
Water Source
None
Financial
Association Fee
0.00
Map
Community
- Address1 Ruby Drive 31 29 Palms CA
- City29 Palms
- CountySan Bernardino
- Zip Code92277
Subdivisions in 29 Palms
Market Summary
Property Summary
- 1 Ruby Drive 31 29 Palms CA is a Land for sale in 29 Palms, CA, 92277. It is listed for $17,500 and features 2 acres.
Similar Listings Nearby

1 Ruby Drive 31
29 Palms, CA





